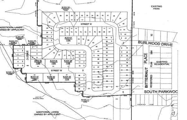
141-home subdivision approved for Elmira

A new subdivision in Elmira’s south end will bring more traffic congestion but not enough to be a concern, Woolwich determined in approving plans this week for 141 homes on a westward extension of South Parkwood Boulevard. Studies provided by the developer show the subdivision’s impact on traffic wo

Last updated on May 04, 23

Posted on Oct 10, 14

3 min read

A new subdivision in Elmira’s south end will bring more traffic congestion but not enough to be a concern, Woolwich determined in approving plans this week for 141 homes on a westward extension of South Parkwood Boulevard.

Next phase of Southwoods development to proceed, but some residents fear impact on traffic flows [File Photo]
Next phase of Southwoods development to proceed, but some residents fear impact on traffic flows [File Photo]

Studies provided by the developer show the subdivision’s impact on traffic won’t be large enough to warrant traffic lights at the South Parkwood Boulevard and Arthur Street or for an immediate connection to Listowel Road, director of engineering and planning Dan Kennaley told councillors meeting Tuesday night.

Council’s approval of official plan and zoning amendments clear the way for Birdland Developments to create new building lots that will eventually provide for 84 single-family homes, 24 semi-detached houses and 33 townhouse units.

Density and the resultant traffic were the key issues raised by residents following a public meeting  held last March to discuss the development.

“A primary concern that was raised by the residents in the neighbourhood is the traffic impacts that the proposed development may have on the local road network. Specifically, the development did not propose any additional connections to other collector or arterial roads resulting in traffic primarily funnelling to one intersection at South Parkwood Boulevard and Arthur Street. With the lack of traffic controls at this intersection, greater wait times will occur and traffic heading northbound will end up using Pintail Drive,” reads a report prepared by manager of planning John Scarfone.

“In addition to the increased volumes, residents had concerns with the speed of vehicles on Pintail Drive, the congestion on Arthur Street and parking concerns along South Parkwood Boulevard during the winter months.”

Residents’ calls for measures such as signal lights at the Arthur Street intersection and traffic calming on Pintail Drive are unwarranted, Kennaley argued.

Both traffic counts and speed monitoring show no need for additional steps at this time, he noted.

For South Parkwood Boulevard resident Bill Scott, however, the studies fail to paint an accurate picture of the real-life experience of those who live in the area. Nor do the plans take into account additional traffic on Arthur Street likely to accompany new development in the north end of Elmira, he said.

“Are we looking at the big picture with respect to traffic in Elmira?” Scott asked, noting the wait times to access Arthur Street are already too long.

Douglas Stewart, a planning consultant for the developer, argued that changes to the plan following input from the public address the concerns raised by existing residents, the case backed up by studies.

“We feel we’ve responded to what we have heard,” he said, adding the project represents “good planning.”

Stewart pointed to longstanding plans to develop the land for residential purposes, calling the development a benefit to local homebuilders looking for lots to provide homes to a  growing community.

Some of those builders were on hand Tuesday night to lend support to the project.

Richard Trapp, owner of Emerald Homes, which has built more than 20 houses in the existing Southwoods subdivision, said the next phase is the progression of development in the area.

As a resident of Pintail Drive, he knows what it’s like to live in that part of town, he said. Unlike some of his neighbours, he hasn’t had any issues with excessive traffic or speeding. Residents cutting along Pintail Drive to get to Whippoorwill Drive makes sense, Trapp added, noting that should be the preferred route “as a matter of course.”

Eventually, a new entrance to the subdivision will connect it to Listowel Road, relieving some of the concerns, he said. “I’m willing to wait it out.”

Scott, however, was skeptical about a quick solution to the bottleneck at South Parkwood Boulevard. The next subdivision isn’t likely within even a three-year timeframe, he said.

“I’m a little concerned about how long it will take to get to the next phase.”

As it stands, the township is convinced the existing road network can handle the 141 units and the 432 new residents expected to come with them, said Kennaley.

; ; ;

Share on

Post In: