Neighbours fear even more traffic woes with new subdivision

Saying traffic and parking issues are already a problem, residents of an Elmira neighbourhood are concerned about plans for a new subdivision on an adjacent piece of land. Birdland Developments’ proposal for a 141-unit subdivision in a westward extension of South Parkwood Boulevard had about 35 resi

Last updated on May 04, 23

Posted on Mar 28, 14

3 min read

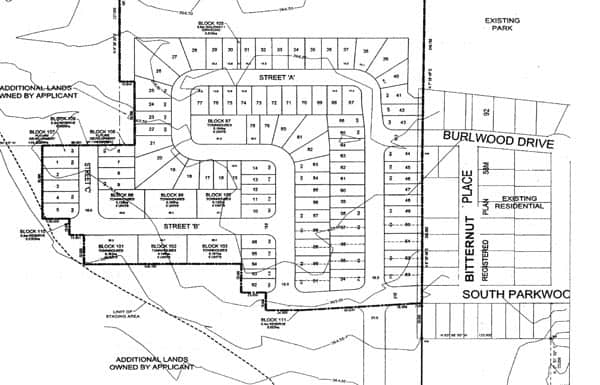
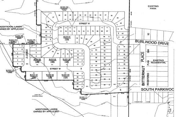
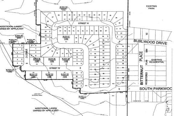
Site plan shows proposed layout and street network for Birdland Development's 141-unit residential subdivision in Elmira. [Submitted]
Site plan shows proposed layout and street network for Birdland Development’s 141-unit residential subdivision in Elmira. [Submitted]

Saying traffic and parking issues are already a problem, residents of an Elmira neighbourhood are concerned about plans for a new subdivision on an adjacent piece of land.

Birdland Developments’ proposal for a 141-unit subdivision in a westward extension of South Parkwood Boulevard had about 35 residents out to a public planning meeting on March 25.

The developer is requesting official plan and zoning changes to about 32 acres of an 85-acre parcel that runs between Listowel Road and Whippoorwill Drive in Elmira’s south end. Some 29 acres at the north end of the property, near the woodlot on Whippoorwill, would be home to the residential development. The other three acres would contain a stormwater management pond on a spot adjacent to Listowel Road.

Current plans for the subdivision call for 141 units: 84 single-family homes, 24 semi-detached houses and 33 townhouse units.

The property and other land surrounding it has long been earmarked for development. The official plan amendment would allow for the increased density on the site, while the zoning would be changed from agricultural to the proposed uses, explained director of engineering and planning Dan Kennaley.

Explaining the rationale for the increased density on the site – to 44 units per acre from the 38 in the current official plan – a planning consultant for the applicant said the higher number reflects changes to provincial and regional policies in force since the township last updated its guidelines.

The proposed density of the project is right in keeping with targets under Ontario’s Places to Grow Act, said Douglas Stewart of Stantec Consulting. Anything less and it would be “challenging to get regional planning support.”

Residents’ concerns about increased density were largely related to the potential traffic problems they see arising from the project. Specifically, with South Parkwood Boulevard the only access point, more congestion is predicted. As well, smaller lots would worsen an already bad situation with on-street parking.

South Parkwood resident Ron Campbell suggested the developers look at additional access points to reduce the “potential for gridlock.”

His concerns were echoed by neighbour Bill Scott, who argued that turning from South Parkwood to Arthur Street is already difficult at times. In order to make a left turn to go north, he added, many current residents use Pintail Drive to get up to Whippoorwill Drive, making the case for a traffic signal at the end of South Parkwood Boulevard. As well, there should be a permanent outlet to Listowel Road.

He also called for the township to maintain the current density levels for the property, dropping the number of homes to 117 from the 141 proposed, saying that would reduce the expected traffic congestion.

Coun. Julie-Anne Herteis, who lives in the neighbourhood, confirmed the traffic woes, including the lack of on-street parking. With even higher densities in the proposed new subdivision, with homes having more cars than space, the problem could worsen.

“Where are people going to park?” she asked.

Acknowledging the issues at play, Stewart said the provincial legislation and regional policies don’t leave much leeway when it comes to densities. Even though the region’s township’s have lower density targets than the cities, the numbers are still higher than some of the older neighbourhoods, with smaller lots a part of the mix.

“The proposed plan tries to provide a broad range of sizes … within the policy requirements,” said Stewart.

Tuesday night’s meeting was an information session only. Council made no decisions, and won’t do so until a recommendation report is brought forward by planning staff at a later date. In the meantime, the township will be accepting input from the public, said Kennaley.

; ; ;

Share on

Post In: