Woolwich on-farm business seeks zone change for expansion of scale, product line

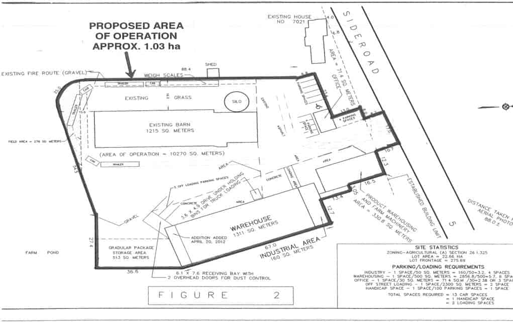
Looking to keep his on-farm business running year-round, a north Woolwich farmer wants to branch out from bagging fertilizer to include processing de-icing salt during the summer downtime. Robert Brubacher’s bid for a zone change on his property at 7021 Sideroad 5 W. was the subject of a public meet

Last updated on May 04, 23

Posted on Aug 11, 16

2 min read

; ; ;

Share on

Post In: