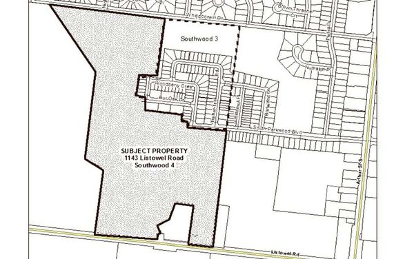
Neighbours take issue with latest subdivision plan for Elmira

What the developer calls benefits in proposing a new subdivision in Elmira, existing residents see as nothing but problems for their neighbourhood. Inappropriate land use, densities, traffic and parking headed a long list of concerns aired at a public meeting at Woolwich council Monday night to disc

Last updated on May 03, 23

Posted on Nov 02, 17

3 min read

; ; ;

Share on

Post In: