Wellesley looking at next steps for subdivision in village

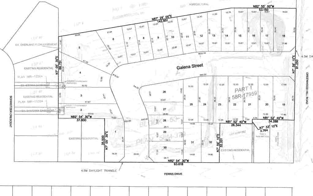
Increasing densities that threaten the character of the township’s communities are a stumbling block for Wellesley councillors as a new subdivision moves forward. The Lotco II Ltd. project slated for a vacant 4.76-acre site at Ferris Drive and Greenwood Hill Road in Wellesley Village has been altere

Last updated on May 03, 23

Posted on Dec 07, 17

2 min read

; ; ;

Share on

Post In: